(一)简介:传统扫描仪只能在固定位置,正前方开口九十度的的范围测量一条线上红外温度分布,利用被测物体自身的平动或者转动来实现表面的温度成像,这个应用有一定的局限性。如果你想得到大面积静止空间或者物体的温度场分析,比如几公里之内的森林火灾防范,港区码头危险品自燃的监控,传统扫描仪无能为力,如果用焦平面热像仪,几公里范围也需要十多套。针对此类应用,我公司开发出一种二维扫描热像系统,用一套扫描仪可以完成4公里范围内的火灾消防监控报警。
原理:二维红外扫描测系统的最大优势是非接触、红外线测温、快速准确、运行周期长、真正无损检测、解决了静态大场景测温难的难题。它通过水平高速旋转的直流无刷电机带动红外扫描仪内部扫描探头高速旋转,同时垂直方向扫描镜360度高速旋转,这个可以上下左右前后多空间扫描成像,扫描探头的扫描频率为25-50线/S,每条测温扫描线由3072个热点组成。水平旋转一周,为一个扫描周期。所采集的红外线通过红外探测器进行光电转换,传输至计算机,通过安装在计算机上的专用软件,对数据进行运算、分析,然后在显示器上以热像仪图像形式显示出来。所得热像仪图像为模拟将二维温度场合合成为三维立体空间展开图。
(二)红外扫描测温系统技术性能指标
主要技术性能指标
测温范围:20℃--350℃
温度分辨率:〈1℃(100℃黑体)
黑 体:100℃黑体
扫描窗口:硬质,不磨损
扫描方式:光学线扫描,直流无刷电机
扫描频率:20-50线/秒
扫描点数:3072点/线
响应光谱(μm):3.5~4
取样速率:每线测3072个热点像素
机械扫描系统:40,000小时(平均故障间隔时间)
输出信号:每线扫描的窑胴体温度信号,行同步信号
空间分辨率:热点发现<1毫弧度,温度检测2毫弧度
视场范围: 水平360°垂直360°
聚焦范围:10米到∽
红外探测器:碲镉汞
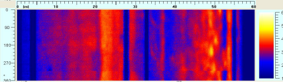
3.1 温度分布热像图染色方式设置
温度分布热像图是以不同的颜色代表不同的温度,从而将窑体整个表面的温度分布状况以图像的方式直观的表现出来。菜单/染色方式下有三个选项依次为灰度、暖色调、冷色调用来设置温度分布图的染色方式。效果如下所示。
灰度模式
暖色调模式
冷色调模式
三维立体图
点击三维立体图,可以进行窑体温度的三维观测。其中纵坐标为温度
l 右侧“放大”,‘缩小”按钮进行三维图形的放大缩小
l 按住鼠标左键,进行拖动可以对三维图形进行旋转
l 双击鼠标则三维图形恢复原来状态。
三维温度分布图

旋转之后的三维温度图